新築一戸建住宅
「利回り」は、当該不動産の1年間の予定賃料収入の不動産取得対価に対する割合であり、公租公課その他当該物件を維持するために必要な費用の控除前のものです。
また、予定賃料収入が確実に得られる事を保証するものではありません。

◎日野市の新築戸建ては仲介手数料無料(0円)+ご成約特典として商品券プレゼント中のLIXIL不動産ショップ八王子住まいる不動産にお任せください!

※地図上の物件位置は近隣に物件が所在することを表すものであり、実際の物件所在地とは異なる場合がございます。
042-649-3547
営業時間:9:00~19:00 / 定休日:水曜日
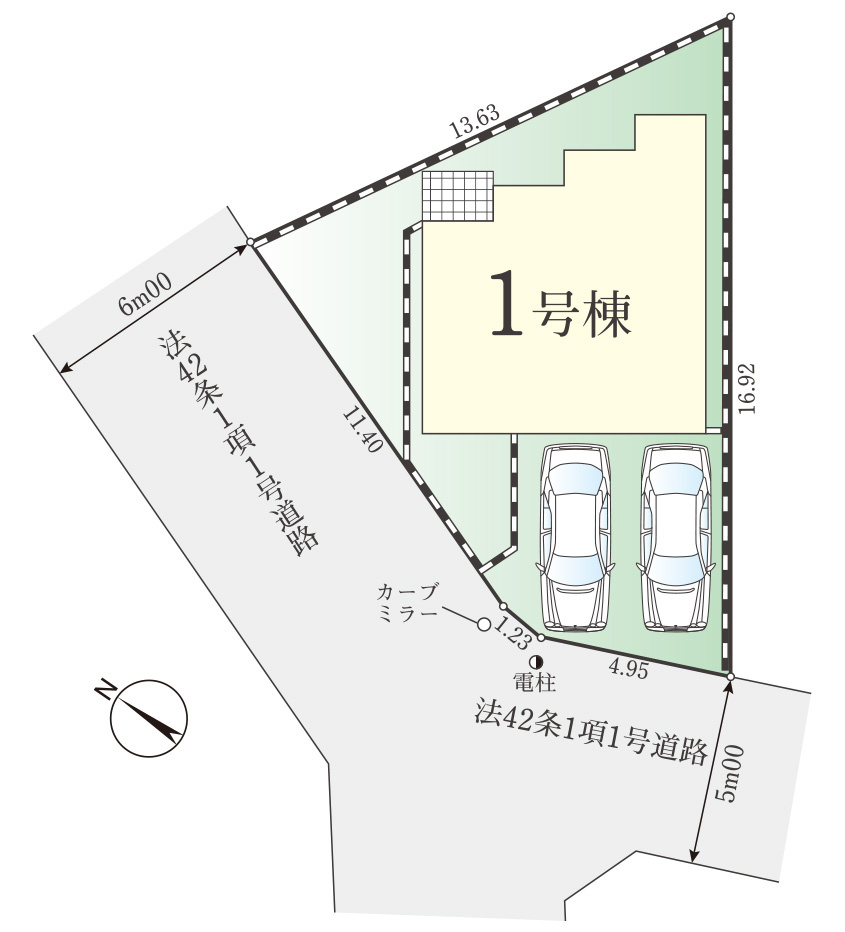
| 所在地 | 東京都日野市南平6丁目 16-6 | ||
|---|---|---|---|
| 交通 |
京王線 「南平」駅
徒歩4分 中央線 「豊田」駅 徒歩25分 京王線 「平山城址公園」駅 徒歩21分 |
||
| 価格 | 5,099万円 | ||
| 間取り |
4LDK
LDK 19.2帖 1室 / 洋室 7.2帖 1室 / 洋室 6.0帖 1室 / 洋室 5.2帖 1室 / 洋室 4.5帖 1室 / |
||
| 築年月(築年数) | 2026年 2月予定(建築中) | 主要採光面 | |
| 建物構造 | 木造 | 階数 | 2階建 |
| 私道負担面積 | セットバック | ||
| 接道状況 | 角地 (北西側 公道6.0m) (南西側 公道5.0m) | ||
| 建ぺい率/容積率 | 40%/ 80% | 土地権利 | 所有権 |
| 地目 | 宅地 | 地勢 | |
| 土地の権利形態 | |||
| 都市計画 | 市街化区域 | 用途地域 | 第一種低層住居専用地域 |
| その他法令上の制限 | |||
| 国土法届出 | 不要 | 取引態様 | 仲介 |
| 現況 | 未完成 | 引渡し | 相談 |
| 駐車場 | 空き台数:2台 、 有 | ||
| 設備条件 | 公共下水 / 公営水道 / 都市ガス / 仲介手数料無料 / 食器洗い乾燥機 / システムキッチン / 対面式キッチン / 追焚機能浴室 / 浴室乾燥機 / 温水洗浄便座 / 洗髪洗面化粧台 / トイレ2ヶ所 / 浴室1坪以上 / ウォークインクロゼット / 収納豊富 / TVモニタ付インターホン / ディンプルキー | ||
| その他条件 | |||
| 備考 |
日野市で住まい探しのお客様へ、弊社は京王八王子駅徒歩3分の明神町で「仲介手数料無料の不動産屋」として住宅の販売をしております。 3路線アクセス八王子市明神町の店舗は、ムダ省いた最小限の広さ、インターネット広告と360度ツアー画像を活用。経費と時間を短縮して物件の情報を発信をしております。 その浮いた経費をお客様に還元したいと考え「仲介手数料無料」のサービスで住宅を販売中。弊社のサービスにより今まで支払っていた高額な仲介手数料分を、追加工事費用や、大切な家族の為にご活用下さい。 ☆LIXIL不動産ショップ八王子住まいる不動産の方針☆ 1. お客様情報を頂いてもしつこく営業しません! 2. お客様の立場にたって一緒に考えます! 3. メリット・デメリットをお伝えします! ☆LIXIL不動産ショップ八王子住まいる不動産のサービス☆ 1.HP掲載の新築は仲介手数料無料でお取引! 2.あいおい損保代理店ですので万が一にもご対応! 3.ERA建物状況検査で安心の中古売却! ☆ お問い合わせ ☆ LIXIL不動産ショップ八王子住まいる不動産 電話:042-649-3547 |
||
| 周辺の学校 | 日野市立南平小学校(約895m / 徒歩12分)、日野市立七生中学校(約420m / 徒歩6分) | ||
| 建築確認番号 | 第25UDI1W建07118号 | 物件番号 | 98758079 |
| 情報公開日 | 2025年11月3日 | 次回更新予定日 | 2025年11月17日 |
| 取引条件の有効期限 | 2025年11月17日 | ||
| 取扱い会社 |
株式会社八王子住まいる不動産 〒192-0046 東京都八王子市明神町2丁目21-13錦せいビル 101 東京都知事(1)第108239号 全日本不動産保証協会 |
||
042-649-3547
営業時間:9:00~19:00 / 定休日:水曜日
| 所在地 | 物件の住所を表示。(詳細住所は表示していない場合もある) | ||
|---|---|---|---|
| 交通 | 物件(部屋)の沿線駅・バス停を表示。(複数駅・バス停の利用が可能な場合は最大3件まで) | ||
| 間取り/詳細 | 数字は居室数を表示。LDKはそれぞれ「リビング」「ダイニング」「キッチン」、S(納戸)とは「納戸」「サービスルーム」「マルチルーム」「フリールーム」など建築基準法第28条に適合していないため、居室と認められない納戸その他の部分を表す。 | ||
| 価格 | 販売されている住戸の価格を表示。仲介手数料は含まない。 | ||
| 管理費 | 共同住宅の設備その他共用部分の維持および管理をするために必要な費用を表示。 | ||
| 修繕積立金 | 共用部分の修繕のために積立てる金額を表示。 | ||

新築一戸建住宅
| 価格 | 5,080 万円 ~ 5,380 万円 | ||
|---|---|---|---|
| 間取り | 4LDK ~ 4LDK+S(納戸) | 築年月(築年数) | 2025年 6月 (新築) |
| 建物面積 | 98.53㎡ ~ 102.27㎡ | 土地面積 | 134.35㎡ ~ 162.54㎡ |
| 住所 | 東京都日野市新町2丁目1-12 | ||
| 交通 |
中央線「日野」駅 徒歩7分 多摩都市モノレール「甲州街道」駅 徒歩26分 中央線「豊田」駅 |
||
新築一戸建住宅
| 価格 |
値下げ:2025/10/20 5,180 万円 | ||
|---|---|---|---|
| 間取り | 4LDK | 築年月(築年数) | 2025年 4月 (新築) |
| 建物面積 | 96.05㎡ | 土地面積 | 164.29㎡ |
| 住所 | 東京都日野市百草225 | ||
| 交通 |
京王線「百草園」駅 徒歩9分 京王線「聖蹟桜ヶ丘」駅 徒歩20分 京王線「高幡不動」駅 徒歩28分 |
||
新築一戸建住宅
| 価格 |
値下げ:2025/09/22 5,299 万円 | ||
|---|---|---|---|
| 間取り | 4LDK | 築年月(築年数) | 2025年 6月 (築1年未満) |
| 建物面積 | 109.21㎡ | 土地面積 | 182.19㎡ |
| 住所 | 東京都日野市百草920-92 | ||
| 交通 |
京王線「百草園」駅 徒歩17分 多摩都市モノレール「程久保」駅 徒歩23分
|
||
新築一戸建住宅
| 価格 | 4,680 万円 ~ 5,480 万円 | ||
|---|---|---|---|
| 間取り | 3LDK ~ 4LDK | 築年月(築年数) | 2025年 10月 (新築) |
| 建物面積 | 92.34㎡ ~ 103.27㎡ | 土地面積 | 125.04㎡ ~ 146.46㎡ |
| 住所 | 東京都日野市旭が丘5丁目14-3 | ||
| 交通 |
中央線「豊田」駅 徒歩24分 八高線「北八王子」駅 徒歩21分 京王線「長沼」駅 徒歩27分 |
||
新築一戸建住宅
| 価格 | 4,780 万円 | ||
|---|---|---|---|
| 間取り | 4LDK | 築年月(築年数) | 2025年 11月 (建築中) |
| 建物面積 | 98.41㎡ | 土地面積 | 123.42㎡ |
| 住所 | 東京都日野市大字日野5972 | ||
| 交通 |
中央線「日野」駅 徒歩20分 多摩都市モノレール「甲州街道」駅 徒歩22分 京王線「高幡不動」駅 徒歩31分 |
||
【間取り】家族が増えてもスッキリ片づけられる全居室に収納スペースを備えた間取りです。