新築一戸建住宅
「利回り」は、当該不動産の1年間の予定賃料収入の不動産取得対価に対する割合であり、公租公課その他当該物件を維持するために必要な費用の控除前のものです。
また、予定賃料収入が確実に得られる事を保証するものではありません。

◎あきる野市の新築戸建ては仲介手数料無料(0円)+ご成約特典として商品券プレゼント中のLIXIL不動産ショップ八王子住まいる不動産にお任せください!

※地図上の物件位置は近隣に物件が所在することを表すものであり、実際の物件所在地とは異なる場合がございます。
042-649-3547
営業時間:9:00~19:00 / 定休日:水曜日
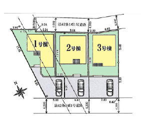
| 所在地 | 東京都あきる野市野辺 1044-1 | ||
|---|---|---|---|
| 交通 |
五日市線 「東秋留」駅
徒歩14分 五日市線 「秋川」駅 バス10分 日室塚下車 徒歩4分 青梅線 「牛浜」駅 バス7分 東中学校入口(あきる野市)下車 徒歩17分 |
||
| 価格 | 2,880万円 | ||
| 間取り |
4LDK
LDK 15.0帖 1室 / 和室 5.2帖 1室 / 洋室 6.0帖 2室 / 洋室 5.3帖 1室 / |
||
| 築年月(築年数) | 2025年 10月(新築) | 主要採光面 | |
| 建物構造 | 木造 | 階数 | 2階建 |
| 私道負担面積 | セットバック | ||
| 接道状況 | 二方 (北側 公道4.0m) (南側 公道4.2m) | ||
| 建ぺい率/容積率 | 40%/ 80% | 土地権利 | 所有権 |
| 地目 | 宅地 | 地勢 | |
| 土地の権利形態 | |||
| 都市計画 | 市街化区域 | 用途地域 | 第一種低層住居専用地域 |
| その他法令上の制限 | |||
| 国土法届出 | 取引態様 | 仲介 | |
| 現況 | 完成済み | 引渡し | 即時 |
| 駐車場 | 空き台数:1台 、 有 | ||
| 設備条件 | 公共下水 / 公営水道 / 防犯カメラ / 仲介手数料無料 / バルコニー / オール電化 / システムキッチン / 対面式キッチン / 温水洗浄便座 / トイレ2ヶ所 / 浴室1坪以上 / 床下収納 / 収納豊富 / 複層ガラス / ディンプルキー | ||
| その他条件 | |||
| 備考 |
あきる野で住まい探しのお客様へ、弊社は京王八王子駅徒歩3分の明神町で「仲介手数料無料の不動産屋」として住宅の販売をしております。 3路線アクセス八王子市明神町の店舗は、ムダ省いた最小限の広さ、インターネット広告と360度ツアー画像を活用。経費と時間を短縮して物件の情報を発信をしております。 その浮いた経費をお客様に還元したいと考え「仲介手数料無料」のサービスで住宅を販売中。弊社のサービスにより今まで支払っていた高額な仲介手数料分を、追加工事費用や、大切な家族の為にご活用下さい。 ☆LIXIL不動産ショップ八王子住まいる不動産の方針☆ 1. お客様情報を頂いてもしつこく営業しません! 2. お客様の立場にたって一緒に考えます! 3. メリット・デメリットをお伝えします! ☆LIXIL不動産ショップ八王子住まいる不動産のサービス☆ 1.HP掲載の新築は仲介手数料無料でお取引! 2.あいおい損保代理店ですので万が一にもご対応! 3.ERA建物状況検査で安心の中古売却! ☆ お問い合わせ ☆ LIXIL不動産ショップ八王子住まいる不動産 電話:042-649-3547 |
||
| 周辺の学校 | 東秋留小学校(約630m / 徒歩8分)、あきる野市立東中学校(約1,624m / 徒歩21分) | ||
| 建築確認番号 | 第R07SHC108475号 | 物件番号 | 99782583 |
| 情報公開日 | 2026年1月19日 | 次回更新予定日 | 2026年2月2日 |
| 取引条件の有効期限 | 2026年2月2日 | ||
| 取扱い会社 |
株式会社八王子住まいる不動産 〒192-0046 東京都八王子市明神町2丁目21-13錦せいビル 101 東京都知事(1)第108239号 全日本不動産保証協会 |
||
042-649-3547
営業時間:9:00~19:00 / 定休日:水曜日
| 所在地 | 物件の住所を表示。(詳細住所は表示していない場合もある) | ||
|---|---|---|---|
| 交通 | 物件(部屋)の沿線駅・バス停を表示。(複数駅・バス停の利用が可能な場合は最大3件まで) | ||
| 間取り/詳細 | 数字は居室数を表示。LDKはそれぞれ「リビング」「ダイニング」「キッチン」、S(納戸)とは「納戸」「サービスルーム」「マルチルーム」「フリールーム」など建築基準法第28条に適合していないため、居室と認められない納戸その他の部分を表す。 | ||
| 価格 | 販売されている住戸の価格を表示。仲介手数料は含まない。 | ||
| 管理費 | 共同住宅の設備その他共用部分の維持および管理をするために必要な費用を表示。 | ||
| 修繕積立金 | 共用部分の修繕のために積立てる金額を表示。 | ||

新築一戸建住宅
| 価格 | 2,580 万円 ~ 3,180 万円 | ||
|---|---|---|---|
| 間取り | 2LDK+S(納戸) ・ 4LDK | 築年月(築年数) | 2025年 11月 (新築) |
| 建物面積 | 96.38㎡ ~ 96.39㎡ | 土地面積 | 121.01㎡ ~ 125.47㎡ |
| 住所 | 東京都あきる野市草花2864-1 | ||
| 交通 |
青梅線「福生」駅 五日市線「秋川」駅 五日市線「武蔵引田」駅 |
||
新築一戸建住宅
| 価格 |
値下げ:2025/12/22 2,590 万円 | ||
|---|---|---|---|
| 間取り | 4LDK | 築年月(築年数) | 2025年 9月 (新築) |
| 建物面積 | 86.53㎡ | 土地面積 | 111.46㎡ |
| 住所 | 東京都あきる野市下代継102-3 | ||
| 交通 |
五日市線「秋川」駅 徒歩6分 五日市線「武蔵引田」駅 徒歩20分 青梅線「福生」駅 |
||
新築一戸建住宅
| 価格 |
値下げ:2026/01/19 2,880 万円 | ||
|---|---|---|---|
| 間取り | 4LDK | 築年月(築年数) | 2025年 10月 (新築) |
| 建物面積 | 98.82㎡ | 土地面積 | 126.67㎡ |
| 住所 | 東京都あきる野市野辺788-8 | ||
| 交通 |
五日市線「東秋留」駅 徒歩12分 五日市線「秋川」駅 徒歩35分
|
||
新築一戸建住宅
| 価格 | 3,190 万円 ~ 3,390 万円 | ||
|---|---|---|---|
| 間取り | 4LDK | 築年月(築年数) | 2025年 10月 (新築) |
| 建物面積 | 97.50㎡ ~ 98.95㎡ | 土地面積 | 130.34㎡ ~ 131.46㎡ |
| 住所 | 東京都あきる野市秋留3丁目3-21 | ||
| 交通 |
五日市線「秋川」駅 徒歩16分 五日市線「東秋留」駅 徒歩21分 五日市線「武蔵引田」駅 徒歩39分 |
||
新築一戸建住宅
| 価格 | 3,080 万円 ~ 3,580 万円 | ||
|---|---|---|---|
| 間取り | 4LDK ~ 4LDK+S(納戸) | 築年月(築年数) | 2026年 4月予定 (建築中) |
| 建物面積 | 99.63㎡ ~ 100.44㎡ | 土地面積 | 137.44㎡ ~ 140.11㎡ |
| 住所 | 東京都あきる野市野辺681-1 | ||
| 交通 |
五日市線「東秋留」駅 徒歩8分 五日市線「秋川」駅 徒歩31分 五日市線「熊川」駅 |
||
【外観】